盛和丸ブログ 最新釣果とお知らせ
TOP
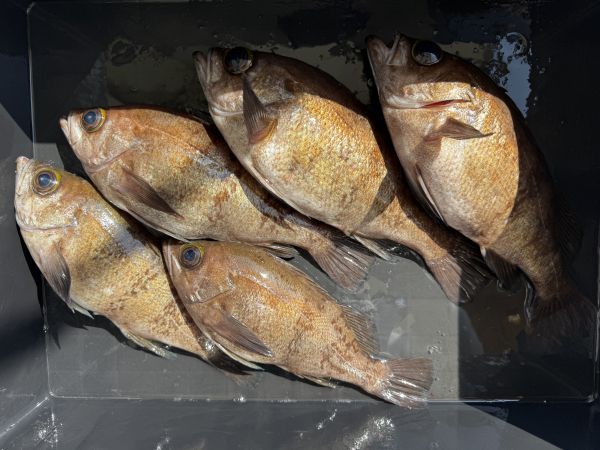
メバル全員安打でした😆
久しぶりのメバル全員安打🤩なかなか厳しい状況でしたがなんとかなりました😆
しかもデカい😅いいサイズが多かったです👌
さすがに少ない方もいましたが、小サバとアジは入れ食い😱
お土産は確保ですね😂
日々どうなるかわかりませんが、この連休乗り切りたいですね☝️
本日もありがとうございました。
明日、明後日はガシラの用意もお願いします🙇🏻♂️
ゲートは、5時30分集合にしてます。
オモリ30号と40号とお持ち下さい。
釣果
2026/02/21(Sat) 16:03:54
船長
カテゴリ
釣果
最近の投稿
メバル全員安打でした😆
明日メバル狙いです。
ダメだー😂大失敗💦💦
明日メバル狙いです!
メバルは顔見れたけど、数は釣れず😭
▼
過去ログ
2026/02 (10)
2026/01 (13)
2025/12 (16)
2025/11 (24)
2025/10 (27)
▼
リンク
盛和丸ウエブサイト
盛和丸予約状況
シマノ
釣りヴィジョン
えさ光
大雄丸
カレンダー
<<
2026/02
>>
Su
Mo
Tu
We
Th
Fr
Sa
1
2
3
4
5
6
7
8
9
10
11
12
13
14
15
16
17
18
19
20
21
22
23
24
25
26
27
28
スマホはこちらへ
管理画面はこちら